Denne Park Rejuvenation
Share Denne Park Rejuvenation on Facebook
Share Denne Park Rejuvenation on Twitter
Share Denne Park Rejuvenation on Linkedin
Email Denne Park Rejuvenation link
What's Happening
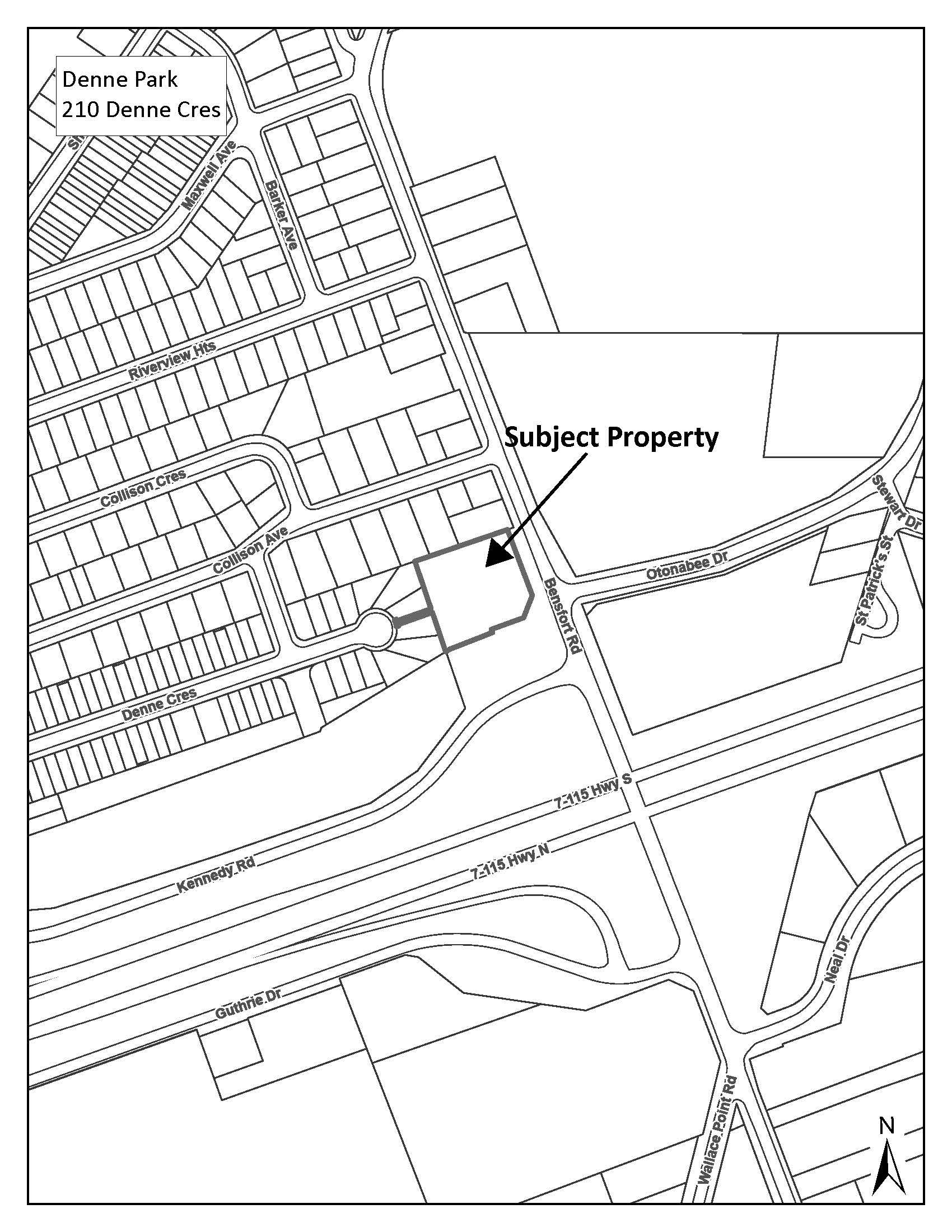
The City of Peterborough has developed a plan for the neighbourhood park known as Denne Park, located at 2401 Bensfort Road in Ward 4. The Landscape Plan for the park represents the vision for the project and identifies the elements provided within the park.
Project Update
Construction is complete and the park is now open to the public.
Page last updated: 16 Jun 2025, 12:10 PM

