Affordable Housing at 1190 Hilliard Street

Share Affordable Housing at 1190 Hilliard Street on Facebook Share Affordable Housing at 1190 Hilliard Street on Twitter Share Affordable Housing at 1190 Hilliard Street on Linkedin Email Affordable Housing at 1190 Hilliard Street link
REQUIRED FIELD: Alt text description of the image that will be used for accessibility

What's happening?

The Peterborough Housing Corporation (PHC) and the City of Peterborough are excited to be working together on an important Revitalization Project that will rebuild some current housing units and create new units to help meet the need for more housing supply in Peterborough. The Revitalization Project will take a phased approach, meaning that a small number of current PHC housing sites will be prioritized, with more sites to follow in future years. The Revitalization Project will see residents able to move into updated, quality, affordable housing units that are safe, healthy, and secure.

The Project is a significant undertaking and it will take time to complete all of the necessary steps for funding and approvals.

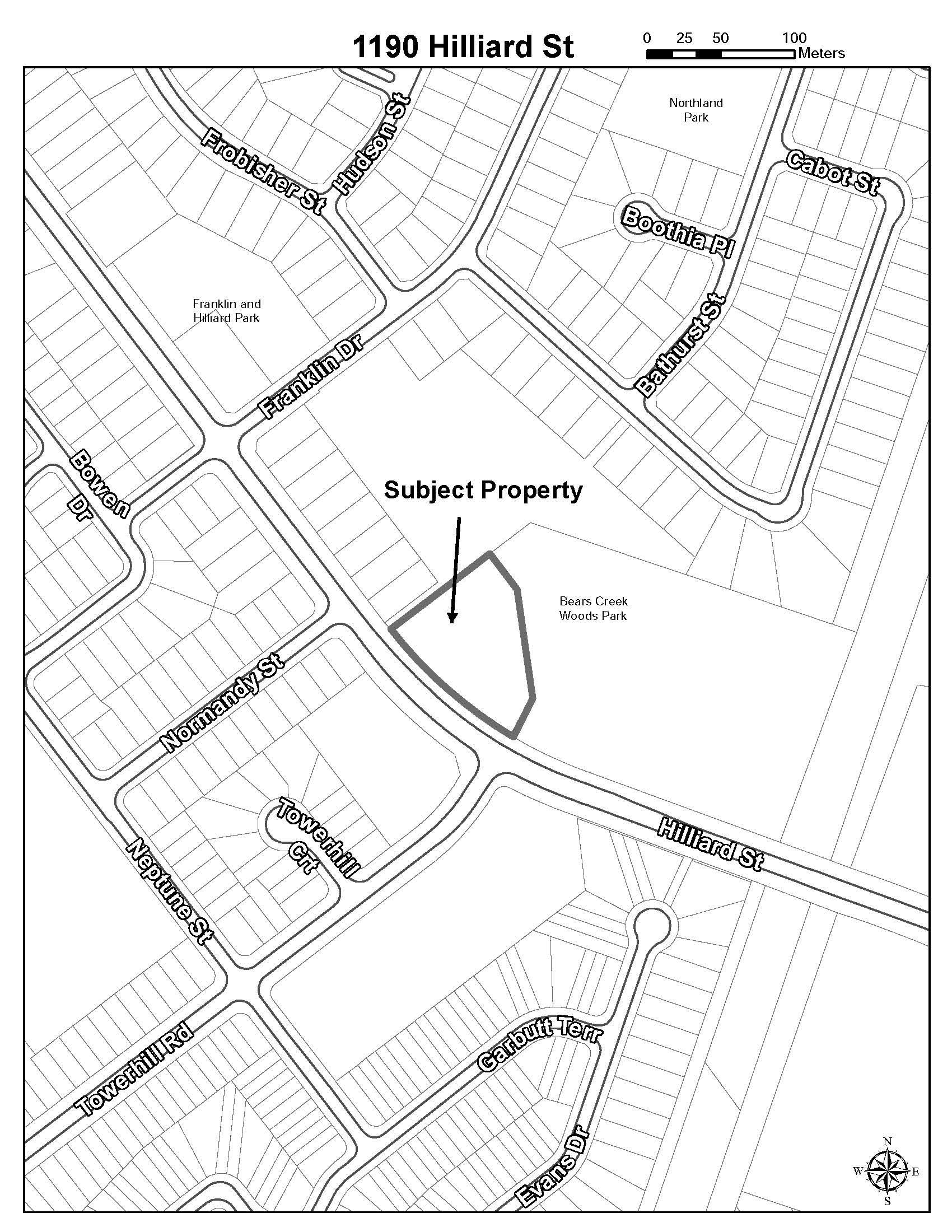
1190 Hilliard Street was selected for the first phase of the project. It is currently owned by PHC, and was selected based on the expected complexity of the planning and construction process.

A drop-in session was held on November 29, 2023 for current residents of 1190 Hilliard Street PHC property.

How can you be heard?

As part of the project process, we will be sharing information about the project on this webpage and also hosting a series of meetings for current residents and the community. Feedback will be collected at these meetings and also from the Q&A section below to ensure the project is meeting the community's needs. The Q&A section can be found at the bottom of this page.

Drop-In Session for Community - Fall 2025

Date and location to be determined.

This will be an opportunity for neighbours and the public to learn more about the project and look at the plans for the site, consultation will be through the regular planning processes required by the City of Peterborough.

What's happening?

The Peterborough Housing Corporation (PHC) and the City of Peterborough are excited to be working together on an important Revitalization Project that will rebuild some current housing units and create new units to help meet the need for more housing supply in Peterborough. The Revitalization Project will take a phased approach, meaning that a small number of current PHC housing sites will be prioritized, with more sites to follow in future years. The Revitalization Project will see residents able to move into updated, quality, affordable housing units that are safe, healthy, and secure.

The Project is a significant undertaking and it will take time to complete all of the necessary steps for funding and approvals.

1190 Hilliard Street was selected for the first phase of the project. It is currently owned by PHC, and was selected based on the expected complexity of the planning and construction process.

A drop-in session was held on November 29, 2023 for current residents of 1190 Hilliard Street PHC property.

How can you be heard?

As part of the project process, we will be sharing information about the project on this webpage and also hosting a series of meetings for current residents and the community. Feedback will be collected at these meetings and also from the Q&A section below to ensure the project is meeting the community's needs. The Q&A section can be found at the bottom of this page.

Drop-In Session for Community - Fall 2025

Date and location to be determined.

This will be an opportunity for neighbours and the public to learn more about the project and look at the plans for the site, consultation will be through the regular planning processes required by the City of Peterborough.

Questions

Ask us a question about the proposed Multi-Storey Affordable Housing project located 1190 Hilliard Street and the project team will respond. 


You need to be signed in to add your question.

  • Share When is the construction projected to start? on Facebook Share When is the construction projected to start? on Twitter Share When is the construction projected to start? on Linkedin Email When is the construction projected to start? link

    When is the construction projected to start?

    Nuntent asked over 1 year ago

    The project is currently in the planning phase and construction start is dependent on securing funding. 

Page last updated: 20 May 2025, 10:05 AM